Borgerhuset og Dianalund Centret
Udgivet den: 28. maj 2018
Større sammenhæng
Der er i forbindelse med helhedsplanen blevet dannet en gruppe, der vil forsøge at skabe et område omkring Dianalund Borgerhus, som giver en bedre sammenhæng mellem Dianalund Centret og Borgerhuset. Det er målet at skabe en mere dynamisk bymidte ved at opføre en imødekommende og tilgængelig adgang fra Centret til Borgerhusets nye hovedindgang langs bygningens sydlige facade.
Imødekommende og tilgængelig adgang
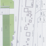
Der benyttes de samme 30 x 30 cm beton fliser og granit chaussésten bånd som er anlagt ved Centrets plads midt for Dianalund Centret, for på den måde at opnå en bedre sammenhæng mellem de to områder. Kantstenen, der nu ligger langs p-pladsen ved handicaprampen, flyttes ud, så den kommer til at flugte med kantstenen ved indkørslen fra Sømosevej. På det område anlægges der en 7 m bred promenade med et legende mønster af belægning, græs og træer som guider besøgende mellem Borgerhuset og Centret. Den eksisterende cykeloverdækning bliver erstattet, og den sydlige terrasse renoveres. Ved den østlige facade reetableres der to trapper op til en renoveret â€Âlæseterrasse†med tilhørende nye indgange/sikkerhedssystem ind til biblioteket.
Parkering
Der nedlægges 20 parkeringspladser i forbindelse med etablering promenaden, disse erstattes ved at benytte de omkring 20 grus parkeringsbåse på den modsætte side af den nye hovedindgang. De 20 grus p-båse sammen med de 25 eksisterende asfalt p-båse (på den modsatte side af den fremtidige promenade) svarer til 45 pladser i alt.
Tidsplan
Etape 1 bestående af ny imødekommende adgang fra Centret til Borgerhuset og renovering af udendørsarealerne omkring Borgerhuset syd og øst påregnes gennemført i år. Hertil har Sorø Kommune bevilget penge til gennemførelsen via Helhedsplanen.
For Etape 2 bestående af renovering af udendørsarealerne omkring Borgerhuset nord samt ny belægning på Sømosevej er finansieringen endnu ikke på plads. Derfor kan der heller ikke p. t. gives et tidspunkt for gennemførelse. Gruppen arbejder p. t. med fondsansøgninger for at få økonomien på plads.
Oversigtsplaner
Herunder kan du se de udarbejdede forslag til renovering af borgerhuset henholdvis syd og nord for, samt forslag til belægning på Sømosevej mellem Borgerhuset og Dianalund Centret.
- Forslag til udendørsarealer omkring den sydlige del af Borgerhuset
- Forslag til udendørsarealer omkring den nordlige del af Borgerhuset
- Forslag til belægning mellem Dianalund Centret og Borgerhuset



